며느리배꼽
꽃며느리밥풀, 며느리배꼽, 며느리밑씻개 . . .
며느리와 관련된 야생화들이 몇 종류가 있더군요.
며느리배꼽은 잎이 정삼각형, 며느리밑씻개는 잎이 직삼각형이지요.
서로 자생지에는 같이 보이질 않고 따로 따로 떨어져 자생한다고 하네요.







분류 : 쌍떡잎식물 마디풀목 마디풀과의 한해살이 덩굴식물.
분포 : 한국·일본·중국·말레이시아 (학명 : Persicaria perfoliata (L.) H. Gross)
서식 : 들 (크기 : 길이 1∼2 m)
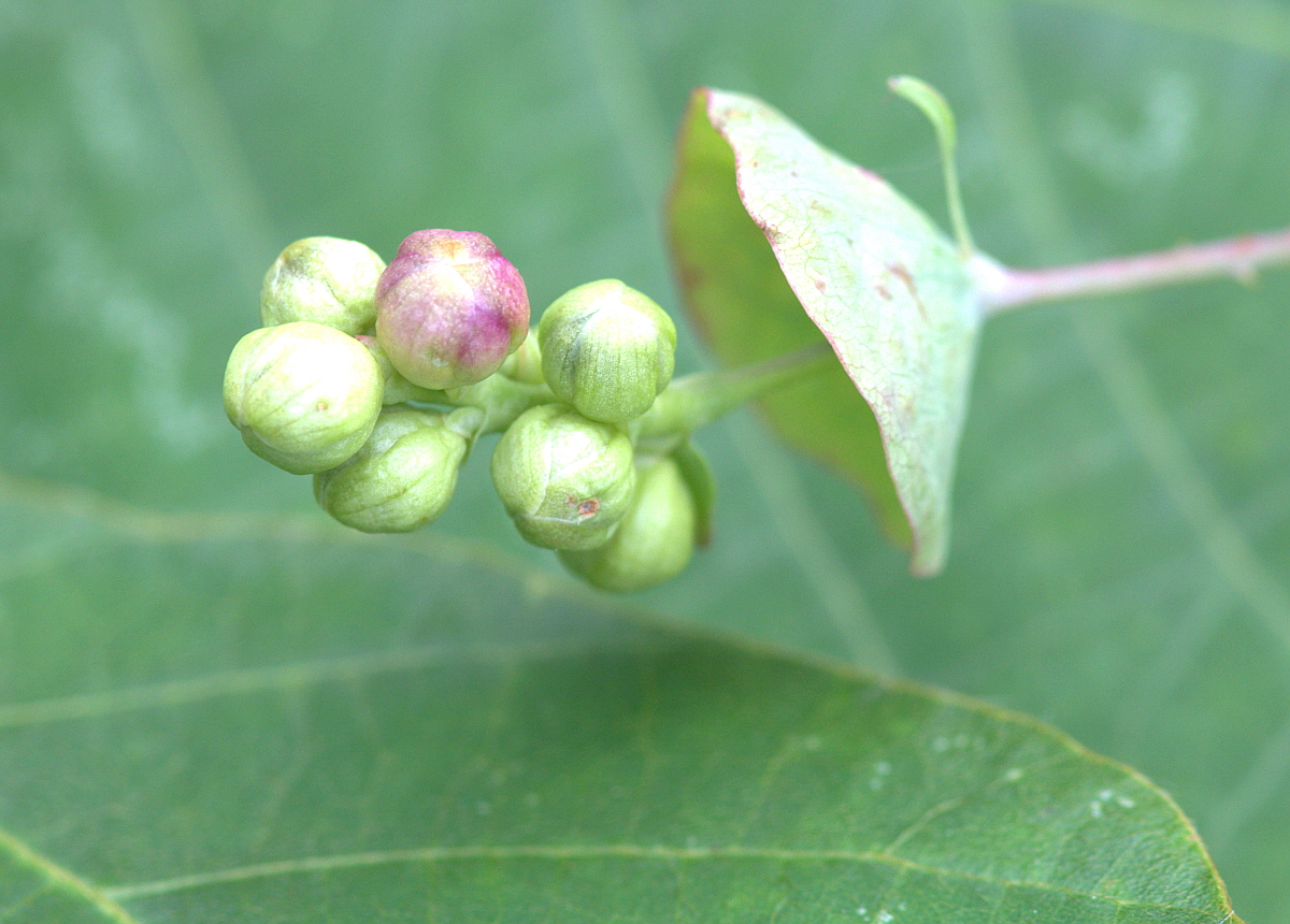
며느리배꼽은 들에서 흔히 자라는 한해살이 덩굴식물이다.
줄기는 잎자루와 더불어 밑으로 향한 날카로운 가시가 있다.
길이 1∼2 m이고 갈고리 같은 가시가 있어 다른 물체에 잘 붙어 올라간다.
잎은 어긋나고 삼각형으로 길이 3∼6cm이다. 표면은 녹색이고, 뒷면은 흰 빛이 돌며 털이 없다.
뒷면 잎줄(葉脈) 위에 날카로운 가시(逆刺)가 있다.
탁엽초(托葉鞘)는 잎처럼 보이며 둥근 깔때기 형으로 줄기를 감싼다.
잎가장자리가 밋밋하고 뒷면은 흰빛이 돌며 잎맥을 따라 잔 가시가 있다.
턱잎은 잎같이 생기고 나팔처럼 퍼진다.
꽃은 엷은 녹백색으로 7∼10월에 수상꽃차례(穗狀花序)에 달린다.
꽃이삭 밑에 잎 같은 엽상포(葉狀苞)가 있다.
화피는 5개, 수술은 8개이며, 암술은 3개이다.
열매는 달걀모양의 구형으로 여윈열매(瘦果)이며 짙은 군청색으로 익고 다소 세모지며 윤기가 나는 흑색 씨가 등어 있다.
육질화한 하늘색 꽃받침으로 싸여 있다. 어린 순을 나물로 하고 성숙한 것을 약용으로 한다.
긴 잎자루가 다소 올라 붙어서 배꼽같이 보인다고 하여 배꼽이라는 이름이 생겼다.
한국 ·일본 ·타이완 ·필리핀 ·인도·중국 ·말레이시아 등지에 분포한다.
며느리밑씻개 https://cafe.daum.net/510211/4bCc/5391?svc=cafeapi
https://cafe.daum.net/510211/4bCc/5253?svc=cafeapi
며느리배꼽 https://cafe.daum.net/510211/4bCc/6833?svc=cafeapi
https://cafe.daum.net/510211/4bCc/6519?svc=cafeapi
https://cafe.daum.net/510211/4bCc/4882?svc=cafeapi
며느리배꼽 열매 https://cafe.daum.net/510211/4bCc/3417?svc=cafeapi
꽃며느리밥풀 https://cafe.daum.net/510211/4bCc/5247?svc=cafeapi
며느리배꼽.
2025. 9. 19. 전북 익산시 여산면 용화산 기슭에서.